Tormenta ‘Humberto’ podría ser huracán de categoría 3 y fusionarse con otro
La combinación de ambos sistemas formaría una “tormenta monstruo” que impactaría el Atlántico, EEUU y el Caribe, advirtió la NOAA
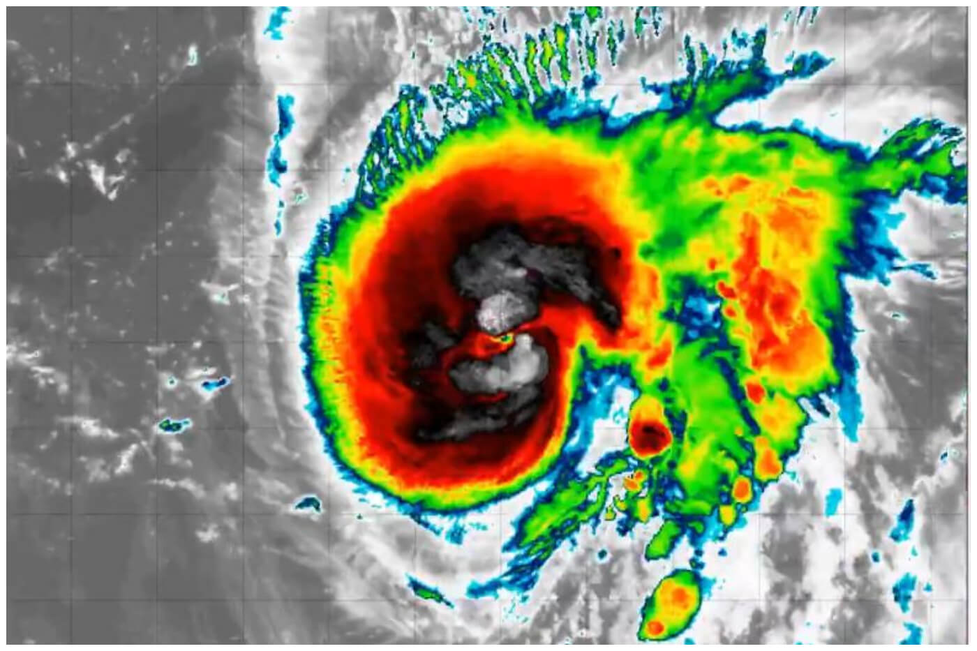
La tormenta tropical Humberto se formó en la cuenca atlántica al sureste de Bermudas y avanza hacia el noroeste con proyecciones de fortalecerse en los próximos días.
El Centro Nacional de Huracanes (NHC, por sus siglas en inglés) informó que se trata del octavo ciclón con nombre de la temporada 2025 en el Atlántico y que podría convertirse en huracán a inicios de la próxima semana.
Humberto se ubica en la latitud 20.1 grados norte y longitud 54.9 grados oeste, aproximadamente a 885 kilómetros al este-noreste de las Antillas. Presenta vientos máximos sostenidos de 65 km/h, rachas de hasta 85 km/h y presión central mínima de 1008 milibares.
Su desplazamiento es hacia el oeste-noroeste a 24 km/h, trayectoria que mantendría entre jueves y sábado mientras se fortalece como tormenta tropical.
El sistema ya genera desprendimientos nubosos que provocan aguaceros en Bermudas y en las Antillas mayores, con pronóstico de intensificación durante el fin de semana.
De acuerdo con especialistas, Humberto podría llegar a convertirse en un huracán de categoría 3 el próximo martes 30 de septiembre.
La particularidad de este fenómeno es su cercanía con la onda tropical AL94, ubicada a unos 1,400 kilómetros de distancia.
Meteorólogos advierten que, si ambos sistemas se acercan lo suficiente, podrían interactuar mediante el llamado efecto Fujiwhara, un proceso en el que dos ciclones giran alrededor de un punto común y pueden fusionarse.
#Humberto is forecast by NOAA to become a major (Cat. 3) #hurricane. If it does so, the Atlantic would be 3 for 3 in hurricanes becoming major in 2025 (Erin and Gabrielle were the others). The last time an Atlantic hurricane season’s first 3 hurricanes were major was in 1935. pic.twitter.com/uUu36Ve0EL
— Philip Klotzbach (@philklotzbach) September 25, 2025
La Oficina Nacional de Administración Oceánica y Atmosférica (NOAA) señaló que existe una alta probabilidad de que Humberto y AL94 entren en interacción en los próximos días, lo que aumentaría la amenaza para la costa este de EEUU.
Greg Diamond, meteorólogo de Fox Weather, indicó que mientras Humberto avanza rumbo a convertirse en un gran huracán, AL94 podría evolucionar a tormenta tropical Imelda en el Caribe.
La posible combinación de ambos sistemas encendería las alertas por la formación de una “tormenta monstruo” que impactaría el Atlántico occidental.
Las proyecciones preliminares de Zoom Earth apuntan a que la interacción podría comenzar la próxima semana, en un escenario de alta vigilancia meteorológica tanto para el Caribe como para la costa este de EEUU.
In Arizona and New Mexico, heavy to excessive rainfall from monsoon thunderstorms may bring isolated flash and urban flooding Thursday into Sunday. The close proximity of Tropical Storm Humberto and a tropical wave (AL94) could lead to interaction between them, and details of… pic.twitter.com/F9pYG4Uaoc
— National Weather Service (@NWS) September 25, 2025



