Dorian toma rumbo a las Carolinas


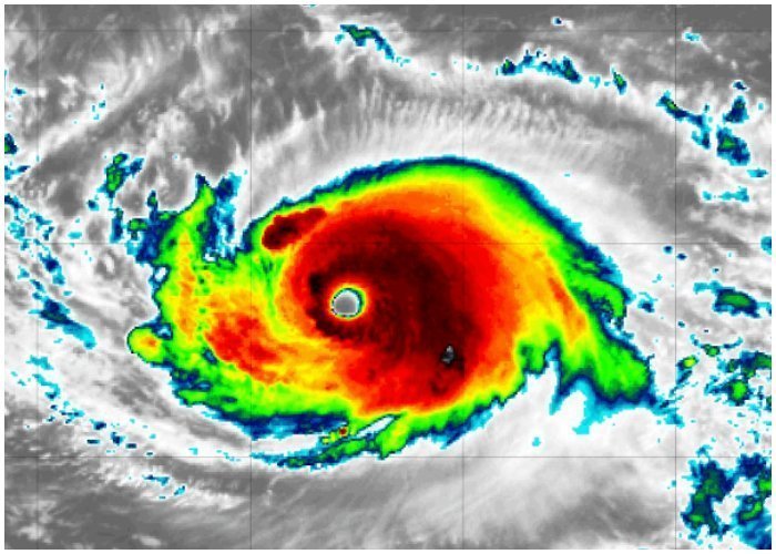
En la mañana de este sábado el huracán Dorian continúo fortaleciéndose como un poderoso categoría cuatro y no se descarta que pueda llegar a la máxima categoría cuando sus vientos, actualmente están en 140 mph (220 km/h), alcancen los 250 km/h, según pronosticó el Centro Nacional de Huracanes.
Las buenas noticias para Florida son que debido a un retiro de la cuña anticiclónica del Océano Atlántico, la trayectoria de Dorian se ha inclinado más al norte.
Por su cercanía a tierras floridanas aún se deben mantener toda la precaución pues los efectos de las lluvias y los vientos se harán sentir a partir del próximo lunes.

A las cinco de la mañana de este sábado 31 de agosto el centro del huracán Dorian se estimó en la latitud 25.8 norte, longitud 72.6 oeste. Dorian se está moviendo hacia el oeste-noroeste cerca de 12 mph (19 km / h). Un más lento movimiento de oeste-noroeste a oeste debería comenzar en las próximas horas y continuar a principios de la próxima semana.
En esa trayectoria el núcleo de Dorian debe moverse sobre el pozo del Atlántico al norte del sureste y Bahamas central hoy, estar cerca o sobre el noroeste de Bahamas el domingo, y estar cerca de la costa este de Florida el lunes por la noche.
Los vientos huracanados se extienden hacia afuera hasta 30 millas (45 km) y de fuerza de tormenta tropical se extienden hacia afuera hasta 105 millas (165 km). La presión central mínima estimada es de 948 mb (28.00 pulgadas).
Con información de NOAA



