Rafael llegaría a Cuba como huracán categoría 3: todo el oeste en alerta
El ciclón ha puesto en alerta a la mitad de las provincias, pues se esperan fuertes lluvias y potenciales inundaciones
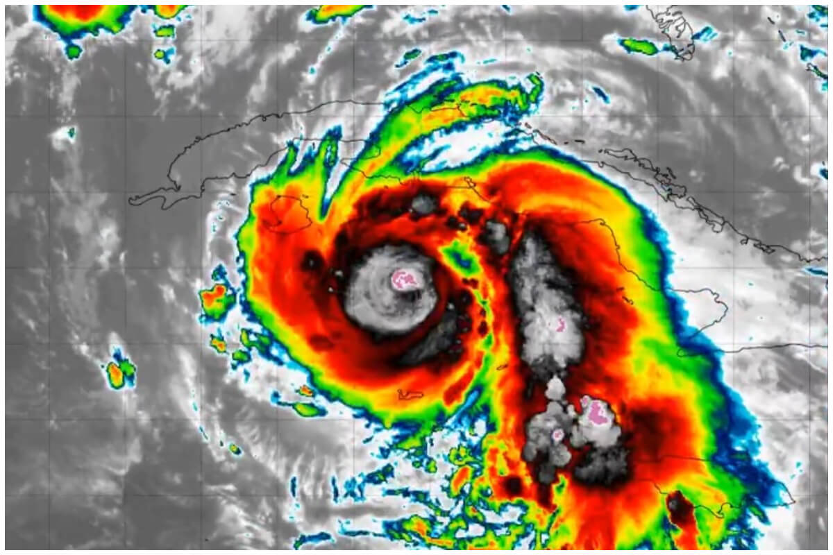
El régimen de Cuba decretó este miércoles de 6 noviembre alarma ciclónica para el oeste del país y varias provincias del centro y oriente, luego de que Rafael se confirmara como huracán de categoría 2, con vientos máximos sostenidos de 160 kilómetros por hora (km/h), y se informara que podría llegar a categoría 3 en las próximas horas.
La alarma fue impuesta por la Defensa Civil a las 6:00 am de este miércoles, cuando el huracán se encontraba a 140 km de Isla de la Juventud y a 260 km de La Habana, según el informe más reciente del Centro Nacional de Huracanes de Estados Unidos (NHC, sus siglas en inglés).
El ciclón se mueve con poca velocidad, a 22 km/h, por lo que preocupa que pueda pemanecer mucho tiempo sobre territorio cubano, en especial debido a la carga de lluvias que contiene.
A su vez, podrán percibirse chubascos y tormentas eléctricas, de fuertes a intensas en toda la región occidental y central de Cuba, con acumulados entre los 100 y 200 milímetros de precipitación en 24 horas, señaló la nota del Estado Mayor Nacional de la Defensa Civil.
El ciclón también provocará fuertes marejadas en la costa sur central y occidental, con inundaciones costeras de moderadas a fuertes en el sur de las provincias de Sancti Spíritus, Cienfuegos, Matanzas, Mayabeque, Artemisa y Pinar del Río, también en Isla de la Juventud y el archipiélago de los Canarreos.
Por esta razón, la Defensa Civil estableció la alarma para todas las provincias mencionadas, además de Guantánamo, Santiago de Cuba, Holguín, Granma , Las Tunas, Camagüey y Ciego de Ávila, aunque estas no serán directamente impactadas por el fenómeno.
De acuerdo con el diario oficialista Granma, Celso Pazo Alberdi, director general del Instituto de Meteorología dijo que el ciclón estará tocando tierra en Cuba en la tarde de este miércoles, entre las 3:00 pm o las 4:00 pm, por algún punto del sur de Artemisa, por la zona más estrecha de la Isla de Cuba, y que debe salir por algún punto al norte la noche del mismo día.
También se informó que, aunque el huracán pasará lejos de la capital cubana, se mantiene una alerta debido a las fuertes lluvias y vientos intensos.
La interacción de Rafael con una vaguada presente en el oriente del país ha generado lluvias más intensas en esa región, lo que está complicando el panorama general. De acuerdo con el INSMET, el huracán podría llegar a Cuba como categoría 3, con vientos entre 178 km/h y 208 km/h.
Autoridades de la Defensa Civil afirmaron que están listos los equipos de salvamento y rescate, así como a término las actividades de evacuación de la población y los recursos de la economía.
🌀🇨🇺 El #Huracán #Rafael alcanza la categoría 3 antes de llegar al occidente de #Cuba con vientos sostenidos de 180 km/h.
🌧️🌊 Se esperan peligrosas marejadas ciclónicas, vientos dañinos y lluvias muy intensas.
⚠️🇲🇽 La actual trayectoria pronosticada indica que, tras impactar… pic.twitter.com/CGHg8jAt3z— SkyAlert Storm (@SkyAlertStorm) November 6, 2024


